Ref: spir1529


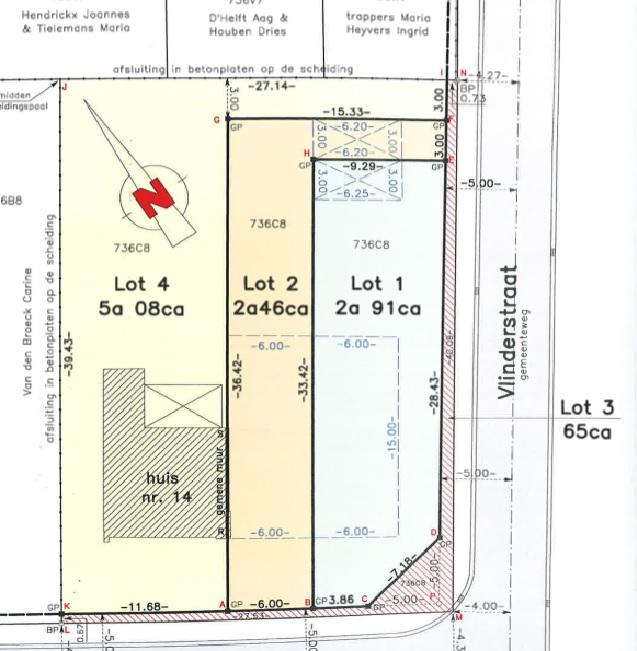
246m2 grondopp.
Omschrijving
Deze bouwgrond van 246m² geschikt voor het oprichten van een gesloten bebouwing en garage (met toegang langs zijstraat) is rustig gelegen op wandelafstand van al wat Heist-op-den-Berg te bieden heeft.
Plannen en vergunning zie rechts onderaan bij downloads op www.vandenvonder-decat.be
Plannen en vergunning zie rechts onderaan bij downloads op www.vandenvonder-decat.be
Ruimtelijke ordening
Bouwvergunning | Nee |
Recente bestemming | Woongebied |
Dagvaardingen | Nee |
Rechterlijke herstelmaatregel | Nee |
Bestuursdwang | Nee |
Last onder dwangsom | Nee |
Minnelijke schikking | Nee |
Voorkooprecht | Nee |
Verkavelingsvergunning | Ja |
As-Built Attest verkregen | Nee |
Effectief overstromingsgevoelig | Nee |
Mogelijk overstromingsgevoelig | Nee |
Afgebakend overstromingsgebied | Nee |
Afgebakende oeverzone | Nee |
Risicozone voor overstromingen | Nee |
Maakt deel uit van voorkeursbesluit of projectbesluit | Nee |
Beschermd pand? | Nee |
Beschermd monument | Nee |
Beschermd landschap | Nee |
Beschermd cultuurhistorisch landschap | Nee |
Beschermd stadsgezicht | Nee |
Beschermd dorpsgezicht | Nee |
Beschermde archeologische site | Nee |
Beschermde archeologische zone | Nee |
Beschermd archeologisch monument | Nee |
Financiële info
Prijs | Info op kantoor |
Overige Info
Tuin aanwezig | ja |
Bebouwing
Grond oppervlakte | 246 m² |
Kadastraleafdeling | 1ste afdeling |
Kadastralesectie | sectie A |
Perceelnummer | 0736/00K008 |
Renovatieplicht | Niet ingegeven |
Alle aanbiedingen gelden onder voorbehoud van fouten, eerdere verkoop, prijswijzigingen of vergetelheid.