Projectgrond Toplocatie 293m²
Projectgrond voor € 165.000
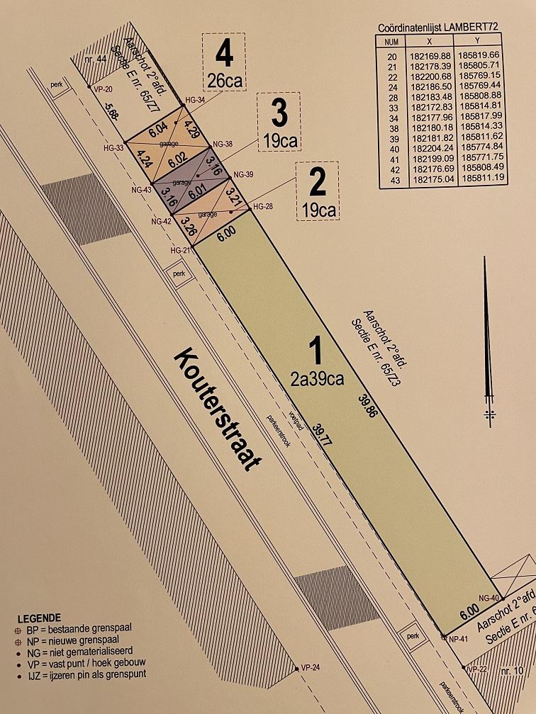
Kouterstraat , 3200 Aarschot
Ref: spir1911
239m2 grondopp.
Omschrijving
Prachtig, rustig gelegen projectgrond op toplocatie in Aarschot, prima ontsluiting, vlakbij groen EN centrum en dat alles met het station op wandelafstand. Ontwikkelings-, bouwmogelijkheden af te toetsen bij de dienst ruimtelijke ordening en stedenbouw van de stad Aarschot. Metingskosten t.b.v. €968,- incl.21% btw ten laste van koper. Info/plaatsbezoek via [email protected] of 0473/245102.
Ruimtelijke ordening
| Bouwvergunning | Nee |
| Recente bestemming | Woongebied |
| Dagvaardingen | Nee |
| Verkavelingsvergunning | Nee |
| As-Built Attest verkregen | Nee |
| Effectief overstromingsgevoelig | Nee |
| Mogelijk overstromingsgevoelig | Nee |
| Afgebakend overstromingsgebied | Nee |
| Afgebakende oeverzone | Nee |
| Risicozone voor overstromingen | Nee |
Financiële info
| Prijs | € 165.000,00 |
| Registratierechten en erelonen | € 22.701,63 |
Bebouwing
| Grond oppervlakte | 239 m² |
| Renovatieplicht | Niet ingegeven |
Alle aanbiedingen gelden onder voorbehoud van fouten, eerdere verkoop, prijswijzigingen of vergetelheid.